Find Your Spot on Sky Manor!
Sky Manor includes forty-two properties with direct access to the runway or taxiway, plus nine large backlots/tracts. Twenty-one lots have direct access to Island Lake. All lots include medium to heavy tree coverage, driveway access, on-site access to electric, and partial clearing for home and/or hangar sites. All lots are perk tested for well and septic. All lots have deeded access to the runway/taxiway.
Demand for properties at Sky Manor has been strong, and periodically lots do become available and change ownership.
We welcome new aviators to our airstrip community!
Click Here to inquire about lots for sale and be notified when properties become available.
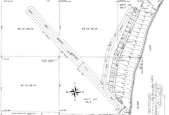
Original Sky Manor Surveys
Bill Blewitt defined the boundaries of Sky Manor Aero Estates in his 1960 survey, which sub-divided the original 193-acre parcel into the runway, taxiway, and lake lots. In 1978, the one-acre hangar lots were developed, and in 2008, all remaining property within Sky Manor was wrapped into the Registered Land Survey No.7. The 2014 survey further divided the three large tracts along the northern edge of the runway into five runway access lots.
Covenants and Property Rules
At the recent Sky Manor Aero Club meeting, a motion was approved requesting that a letter be sent to all property owners highlighting the covenants and property use rules. Covenants do apply to most of the property in Sky Manor, and Hubbard County’s Shoreland Ordinance applies to lots within 1,000 feet of the lake.
The larger lots (tracts) defined by “Amended Registered Land Survey No.7” are bound by the restrictive covenants recorded with Hubbard County by developer Roger Schmidt in January 2007. These covenants outline limitations, restrictions, and uses, and are attached to your deed.
Although there is no homeowners association for the RLS #7 lots, there is a common desire among Sky Manor property owners to promote our airpark community, and that includes protecting our property investments and improving values over the long term. The covenants help facilitate that goal.
Generally speaking, no one wants to battle over property covenants. Most people are content with a -live and let live- philosophy, so long as everyone adheres to the spirit of the covenants and maintains his/her property in a way that does not devalue neighboring properties or interfere with others’ enjoyment of their properties.
Summary of 2007 covenatns
- Section 1: Commercial businesses or multi-family dwellings are not permitted.
- Section 2: Dwellings designed for living, sleeping, cooking and eating shall be 1,600+ square feet homes.
- Section 3: Creating noxious odors or conducting offensive activities is not permitted.
- Section 4: Livestock or poultry shall not be raised, bred, or kept on any lot. Controlled pets are allowed.
- Section 5: Mobile homes or trailers are not permitted on any lot. However, travel trailers and motor homes may be stored, so long as they are not used as residence. This section also requires the exterior of construction projects be completed within 12 months of starting the project.
- Section 6: Storage of building materials and equipment must be kept in neat condition and out of sight of neighbors.
- Section 7: Rubbish, trash, garbage, junk, materials and/or other waste shall not be stored on any lot. Non-running cars/trucks/equipment shall not be stored or parked on any lot.
- Section 8: Toilet facilities must be connected to approved septic system.
- Section 9: Hunting with firearms is prohibited. No hunting is allowed on the runway.
- Section 10: Wells, septic, waste disposal must be in accordance with Hubbard County and Minnesota laws and regulations.
- Section 13: The cutting of live trees is essentially limited to only those needed for construction, driveway/taxi, and safety. No clear cutting is allowed.







